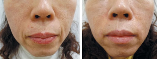
입가주름에 ‘제이자가진피재생술’을 하기 전(왼쪽)과 시술 후 여성의 모습. 시술을 받고 입가 주름이 눈에 띄게 완화됐다.

입가주름은 사람의 전체 이미지를 무너뜨린다. 거칠어 보이고, 나이 들어 보이며, 심지어 세상 힘든 일을 혼자 다 짊어진 듯 피곤해 보이기도 한다. 이 입가주름이 팔자주름과 연결되면 이미지는 더욱 악화된다. 문제는 입가주름이 보톡스는 물론이고 필러로 해결되지 않는다는 데 있다. 심지어 안면거상술을 받아도 효과가 미미하다.

입가주름은 신체 노화와 잦은 표정 변화, 그리고 중력에 의해 처지고 파인 것이라 기존 방식으로는 쉽게 제자리로 보낼 수 없다. 매우 세심한 시술이 필요하다. 이런 경우 '제이(J)자가진피재생술'이 방법이 될 수 있다. 제이자가진피재생술은 주름져 파인 피부 진피층에 새살이 차오르도록 함으로써 주름을 편다. 30게이지의 가느다란 바늘을 이용하므로 흉터 걱정도 없다. 극미량의 이산화탄소가스와 히알루론산을 교대로 같은 부위에 반복 주입해 물리·화학·생물학적 자극이 일어나도록 유도하면 다량의 콜라겐 조직이 원하는 곳에 생성되는 원리다. 자기 몸에서 새살이 돋는 것이므로 불과 몇 개월 후 효과가 사라지는 보톡스와 필러와는 다르다. 그렇다고 영원히 주름이 생기지 않는다고 착각해서는 안 된다. 자가진피재생술의 효과가 아무리 좋아도 노화를 막을 수는 없기 때문이다. 노화를 막는 주사는 세상 어디에도 없다.

환자들이 주로 걱정하는 것은 부작용이다. 제이자가진피재생술의 부작용으로는 염증과 알레르기가 있다. 염증은 일반적인 수준의 증상이므로 치료하면 된다. 알레르기는 1000명당 1명에게서 발견되는데, 별도로 치료하지 않아도 대부분 4~5주 내에 자연 소멸된다.

제이자가진피재생술은 지난 2010년 세계미용성형 3대 학술지인 세계성형연감(Annals Of Plastic Surgery·SCI)에 소개됐고 2013년 표지 논문으로도 발표됐다. 미국·한국·일본·중국 등에 16개 특허가 등록됐고 개발자 본인이 10년 이상 시술하고 있으므로 학술적으로나 임상적으로 검증된 방법이라고 하겠다.